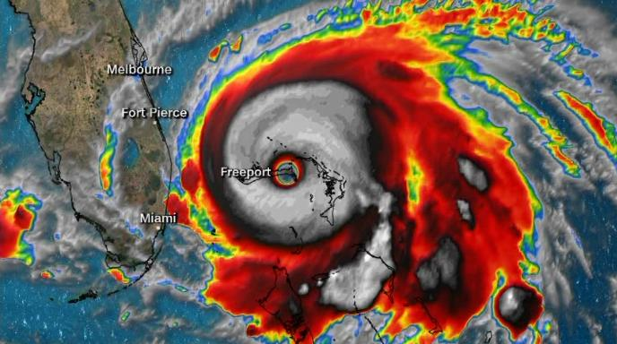
Hurricane Dorian Freeport
Hurricane Dorian Devastation And Destruction In The Bahamas In Pictures World News The Guardian
www.theguardian.com
Bahamas Cruise Ports Assess Hurricane Dorian Impact Freeport Receives Direct Hit
www.cruisecritic.com
Dorian Shipping Lines Pledge Aid For Grand Bahama Lloyd S List
lloydslist.maritimeintelligence.informa.com
Carnival Cruise Line Returning To Freeport For The First Time Since Hurricane Dorian
cruisefever.net














































































