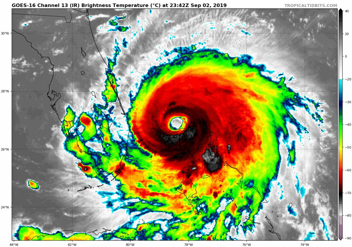
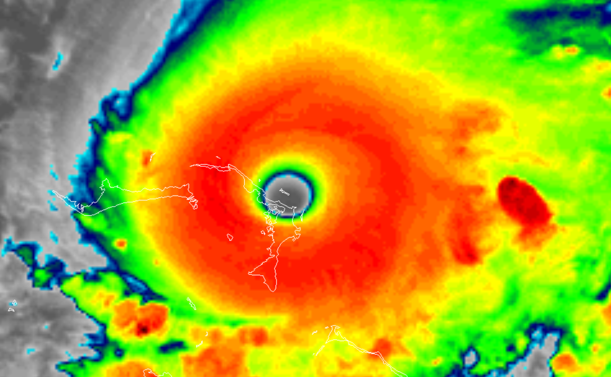
Hurricane Dorian Ir
Hurricane Dorian Stronger Category 3 With 115 Mph Winds Now Hitting Carolinas Just In Weather
www.justinweather.com
Tropical Storm Dorian Is Expected To Near Hurricane Strength As It Spins Toward Puerto Rico Cnn
www.cnn.com
Hurricane Dorian Goes 16 Hrit And Noaa 19 Noaa 18 Metop A Metop C Hrpt Captures From Today Rtlsdr
www.reddit.com
Https Encrypted Tbn0 Gstatic Com Images Q Tbn 3aand9gcto0z38gordj Oj8rgd0b6pfa1uhoypt Jpdg2onbyfcf32kcta Usqp Cau
encrypted-tbn0.gstatic.com


















































































