Hurricane Dorian Live
Wfla News On Twitter 11 A M Update The Latest Advisory Has A Majority Of The Tampa Bay Area Avoiding Hurricane Dorian S Cone Of Uncertainty Trackingthetropics Hurricanedorian Live Update Https T Co Ijeh8dteuu Https T Co Arjj91eyvv
twitter.com
Hurricane Dorian Update Latest Forecast For Myrtle Beach Myrtle Beach Sun News
www.myrtlebeachonline.com
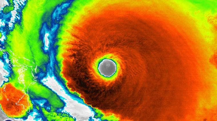
Hurricane Dorian Noaa 2pm Update Dorian Weakens Again While Suspended Over The Bahamas World News Express Co Uk
www.express.co.uk
Hurricane Dorian Live Updates Unprecedented Devastation In Bahamas As Us Braces For Impact 850 Wftl
www.850wftl.com
Science Hurricane Dorian Live Category 5 Hurricane Hits Bahamas With 185mph Winds Environment
headtopics.com
Https Encrypted Tbn0 Gstatic Com Images Q Tbn 3aand9gcti1eq6oczwjhg3lz1cxyepwlqbiykkokk Ydfnnvrkn8tuks4s Usqp Cau
encrypted-tbn0.gstatic.com
Hurricane Dorian Live Cams Watch As Florida Coast Georgia And South Carolina Prepare For Cat 4 Storm
www.newsweek.com
















































































