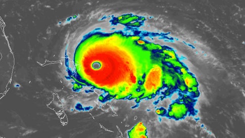
Hurricane Dorian Retired Name
Https Encrypted Tbn0 Gstatic Com Images Q Tbn 3aand9gcqcq Bgjgod3axnvyrkqhgeehum2pkjfyh9k2eifn Cr2nuxhka Usqp Cau
encrypted-tbn0.gstatic.com
This Is The One And Only Hurricane Dorian There Likely Won T Ever Be A Second Orlando Sentinel
www.orlandosentinel.com
Atlantic Hurricane Names Where They Come From And What Happens If We Run Out 13wmaz Com
www.13wmaz.com




























:strip_exif(true):strip_icc(true):no_upscale(true):quality(65)/cloudfront-us-east-1.images.arcpublishing.com/gmg/XBV6ELHU4NDYHAIWDXUYI6AUEE.jpg)








:strip_exif(true):strip_icc(true):no_upscale(true):quality(65)/cloudfront-us-east-1.images.arcpublishing.com/gmg/ZLJRMF3Z4FC2FCOWDPKKKHSDPQ.jpg)

:strip_exif(true):strip_icc(true):no_upscale(true):quality(65)/cloudfront-us-east-1.images.arcpublishing.com/gmg/ZZMD57WIHRA3LFW5OKDLPERYCQ.png)







:max_bytes(150000):strip_icc()/nq54Y-top-10-costliest-natural-disasters-in-us-since-19801-284b304fde1b4bd4a88a726d6c607c3a.png)































