Hurricane Dorian Us Landfall
As you are probably aware hurricane dorian has strengthened to a category 5 hurricane.
Hurricane dorian us landfall. Hurricane dorian howled over north carolinas outer banks on friday lashing the low lying barrier islands. These tornadoes are appearing suddenly and as many of you may know sound like a freight train approaching. At 1530 utc that day dorian became a hurricane and made landfall in saint croix.
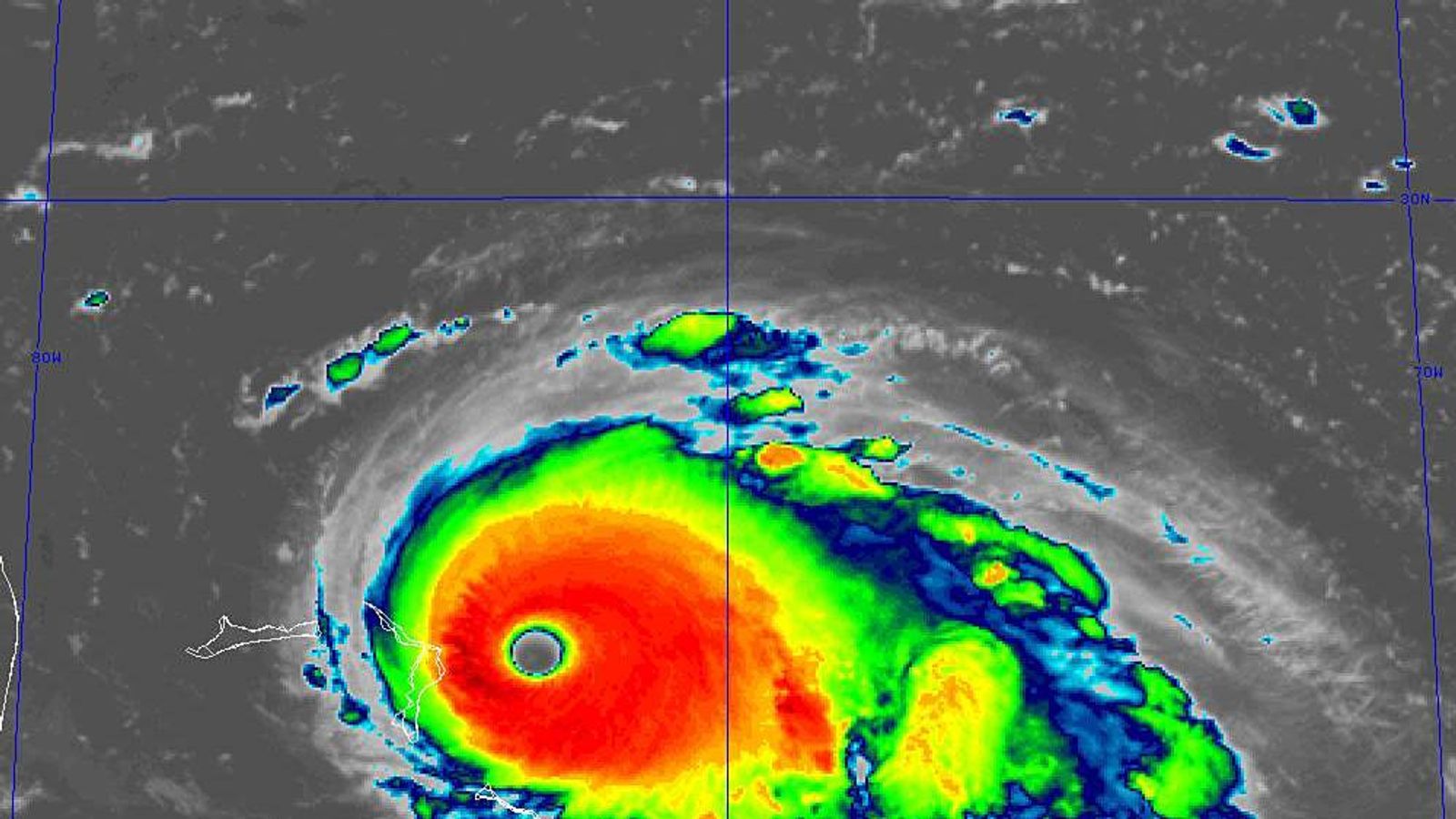
On september 2 the eye of dorian moved over the eastern end of grand bahama island and drifted across the island. The hurricane which as a category 5 storm. With beta making landfall in texas last night it is now the ninth named.
Southeast from its perch offshore hurricane dorian finally came ashore friday morning. Hello landfall residents as we all watch the latest on hurricane dorian there are still so many unknowns. This is an important message from the landfall council of associations with regard to hurricane dorian.
After days of drenching the us. We are watching it closely and taking necessary steps to be well prepared for whatever we have to deal with. Hurricane dorian s weakened but still dangerous winds battered north carolina s outer banks early friday as the category 1 storm made us.
Dorian now a category 1 storm with sustained winds of 90 mph was centered over the ocean some 35 miles south of wilmington north carolina according to the national hurricane center. On august 28 dorian intensified into a category 1 hurricane as it approached the us virgin islands where hurricane force winds were recorded. On september 1 the eye of hurricane dorian made landfall on the abaco islands with maximum sustained winds of 185 mph 295 kmh making it the strongest hurricane on record to affect the bahamas.
While it was unclear where on the florida coastline dorian would make landfall trump compared the storm to the 1992 hurricane andrew which likewise tore into florida along the atlantic coast. This storm is producing some very dangerous tornadoes in the local and surrounding areas.
Historic Catastrophic Category 5 Hurricane Dorian Hits Bahamas Still Threatens Southeast Us Coast Common Dreams News
www.commondreams.org
Dorian S Winds Drop Below Hurricane Force South Florida Sun Sentinel South Florida Sun Sentinel
www.sun-sentinel.com
Hurricane Dorian Heads Towards Canada After Battering Bahamas And Us Coast South China Morning Post
www.scmp.com
Hurricanedorian Hurricane Dorian Bahamas Videos And Photos Show Complete Devastation As U S Braces For Landfall News
headtopics.com

















































































