Hurricane Dorian Eye
Phillips credited the image to nasa and wrote.
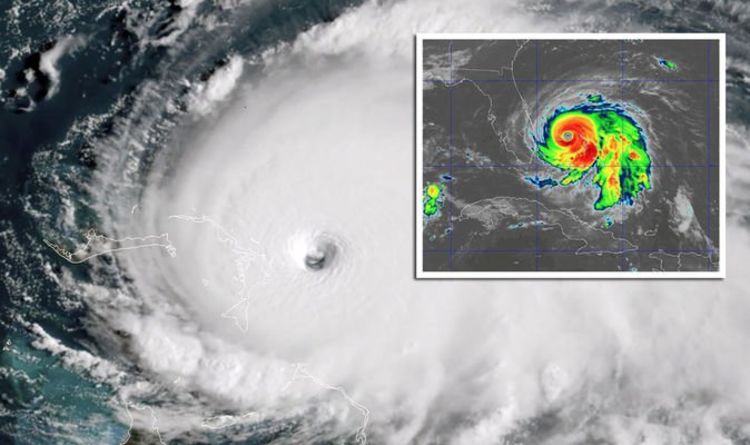
Hurricane dorian eye. Video of hurricane dorian captured by hurricane hunters with the national oceanic and atmospheric administration noaa on sunday showed the eerily calm eye. He added you can feel the power of the storm when you stare into its eye from above. Noaa and us air force hurricane hunters captured footage from inside the eye of hurricane dorian.
As we know the eye of a big well organized hurricane like dorian is a relatively calm spot. In the extraordinary photo you can see dorians eyewall which. Hurricane dorian was an extremely powerful and devastating category 5 atlantic hurricane that became the most intense tropical cyclone on record to strike the bahamas and is regarded as the worst natural disaster in the countrys history.
See inside the eye of hurricane dorian 0055 he snapped a breathtaking photo of dorians eye while flying through the storm on sunday. Hurricane dorian eias being used to implement environmental recovery strategies in grand bahama and abaco rochelle newbold director of the department of environmental planning and protection. Eyewall lightning is ordinarily a sporadic byproduct of hurricanes but lightning barrages reminiscent of dorians can be a sign of an intensifying storm.
Indeed by sunday morning dorian had tied.
Metro Co Uk On Flipboard Inside The Eye Of Hurricane Dorian Eerie Photos Reveal Calm Beneath Catastrophic Storm
flipboard.com
Hurricane Hunters Capture Majestic Nighttime Photos Of Dorian S Eye Mystateline Com
www.mystateline.com
Plane In The Eye Of Hurricane Noaa S Hurricane Dorian Flights In Pictures Windy Community
community.windy.com
Astronaut In Space Stares Into The Eye Of Hurricane Dorian A Category 4 Storm Live Science
www.livescience.com
Https Encrypted Tbn0 Gstatic Com Images Q Tbn 3aand9gcrp4f0e5zoi7ueaziq Jqibgn9lyyaasgxipc1ypuq3koiuoxlb Usqp Cau
encrypted-tbn0.gstatic.com



























:strip_exif(true):strip_icc(true):no_upscale(true):quality(65)/arc-anglerfish-arc2-prod-gmg.s3.amazonaws.com/public/WHUGOSR455GA7C7OHHW22SOJIQ.gif)






















































